We’ve found our favorite snorkeling spot in Hawaii, south of Kona at Honaunau Bay. Locals call it Two-Step Bay because the lava formed two easy steps for a snorkeler’s launch into the ocean along the otherwise rough shoreline.
We swam among schools of little fish as they were buffeted about by the surf. We were buffeted too.
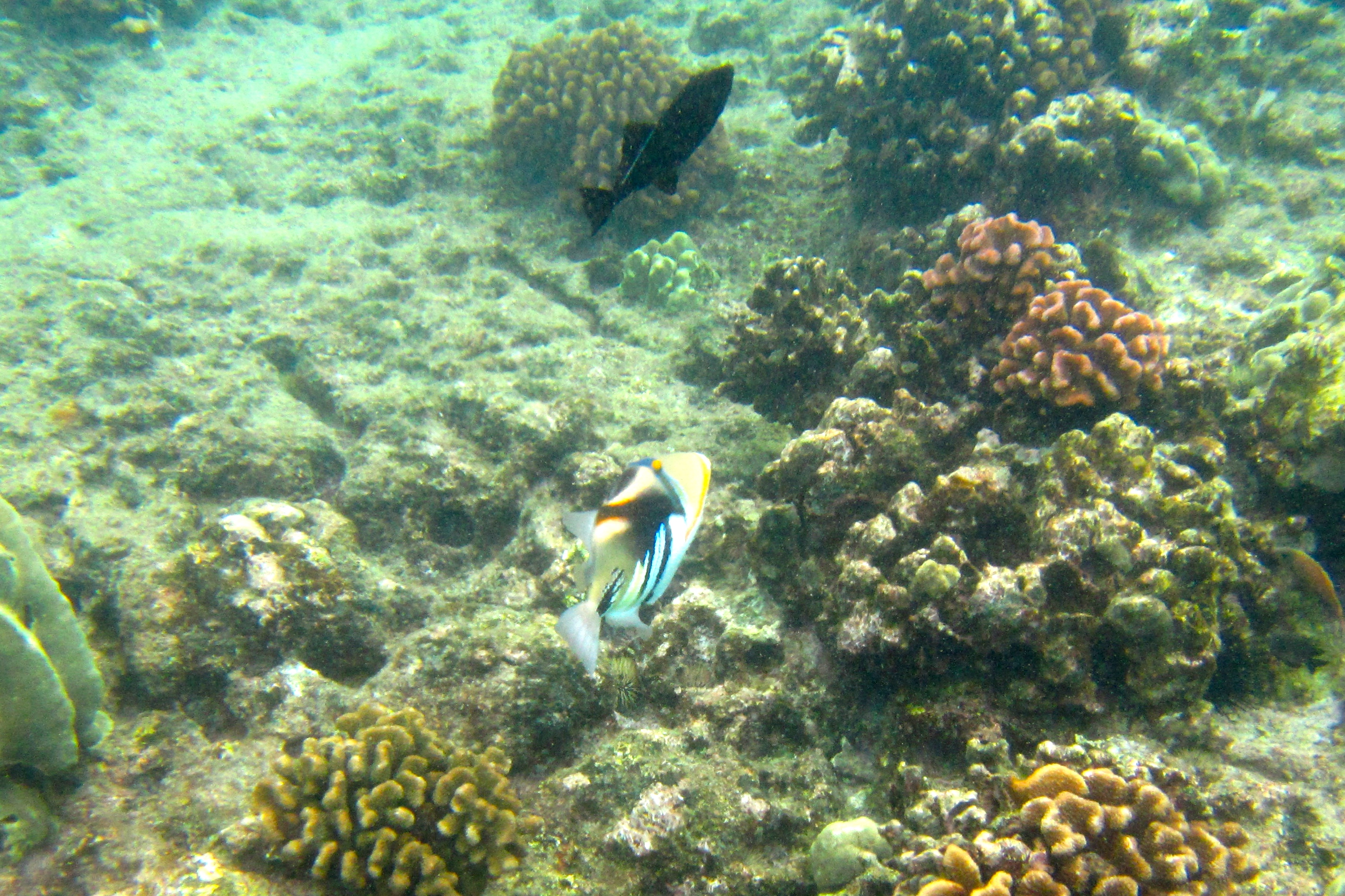
The humuhumunukunukapua’a is Hawaii’s state fish. It’s commonly known as a reef triggerfish and comes in several colors. Hard to get close to.
The parrotfish is a little less shy. We saw lots of these. The many kinds of parrotfish are known as uhu and are said to tell fishermen what their wives are doing at home. Capering and frolicking means too much levity. Two uhu rubbing noses means flirting at home. We didn’t see either of these. It must mean all Hawaiian wives are at home behaving as they should. Not sure if it applies to tourists.
Another favorite is the trumpetfish, in silver here. These fish swim can swim upright and are very difficult to see from the front. Good thing they didn’t try to bite us.
In Hawaii trumpetfish can be bright yellow.

We think it’s an ugly duckling/swan thing. This trumpetfish was just like the yellow tangs when he was a baby, but he took on a different shape when he grew up. He still thinks he’s a tang.
We saw whales near here. The first sign was a puff of smoke on the horizon, actually a whale blowing air out its blowhole. Then we’d see a black tail or part of the body as the whale breached the surface. Pretty exciting (but too hard to get a photo). They’re humpback whales breeding around Hawaii from November through May before they migrate back to Alaska.

Rare Longnose Butterflyfish (Lauwiliwilinukunukuoi’oi) is apparently rare everywhere except here on Hawaii’s Kona coast. Lucky us.

Sea urchins are everywhere, mostly black, but some very colorful like this red one hiding behind coral.
It’s very difficult to dive deep without a weight belt in the salty water.

Only about 6 feet before downward momentum stopped and Nancy bobbed back to the surface. Why don’t the fish have this problem?
But someone was able to get down 30 or 40 feet to do this bit of art on the bottom.
Aloha means both hello and goodbye. So it’s Aloha (goodbye) to Kona. Tomorrow we head to the Hilo side of the island.








